一直都很奇怪飓风到底是怎样被命名的,最近才知道原来是世界气象组织有一个飓风命名名单,但是由于通常每年平均出现11个飓风,且之前有20个热带风暴和飓风已命名,导致名单上的名字不够了,科学界不得不考虑启用希腊字母来命名,如“飓风α”等。

该命名表每6年循环使用,每个大西洋飓风季分配了21个名字,在“萨莉”之后,“泰迪”和“薇姬”是目前扰动大西洋的第19个和第20个热带风暴。这份名单现在只剩下一个名字“威尔弗雷德”可以使用了。气象专家表示今年飓风名称可能用尽,额外的风暴将会使用希腊字母命名。

早在2005年,卡特里娜飓风袭击美国时,飓风季就有27个风暴被命名,其中6个用了希腊字母。今年的热带风暴异常频繁,从6月初持续到11月底,最近一周就有6个被命名的风暴出现在大西洋,平均下来每天出现一个,全球变暖是不可忽视的一个致因。
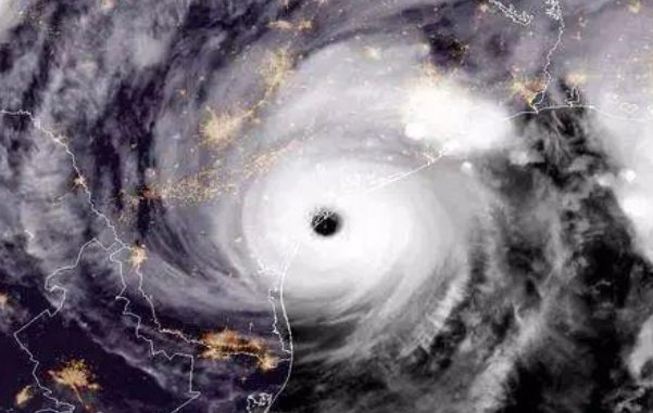
飓风产生于热带海洋,分为一到五级,中心的飓风眼越小,破坏力越大,给所到之处带来强风暴雨和洪水灾害,对居民生活、农业、经济造成严重破坏。如收到飓风预警,应提前做好准备工作,首先远离海岸、河岸,躲进坚固的避风所(坚固的建筑物里或地下室 ),并切断屋中的电源 ;其次加固门窗,房顶,储备好饮用水、食物、衣物、和照明用具;且不要在刮飓风时走出去,如果一定要出去,要避开飓风行进的路线。飓风就是大气中绕着中心旋转、不断向前移动、在北半球作逆时针方向转动,在南半球作顺时针方向转动的急速空气涡旋,
